By using this site, you agree to the Privacy Policy and Terms of Use.
Accept
influenciasinfluenciasinfluencias
  • Inicio
  • Nacionales
  • Internacionales
  • Arte y Espectáculos
  • Política y Elecciones
  • Deportes
  • Salud
  • Economía
  • Municipalidad
Reading: El superhuracán Melissa toca tierra en Jamaica con vientos de hasta 295 km/h
Share
Notification Show More
Font ResizerAa
influenciasinfluencias
Font ResizerAa
  • Inicio
  • Nacionales
  • Internacionales
  • Arte y Espectáculos
  • Política y Elecciones
  • Deportes
  • Salud
  • Economía
  • Municipalidad
Have an existing account? Sign In
Follow US
  • Advertise
© 2022 Foxiz News Network. Ruby Design Company. All Rights Reserved.
influencias > Blog > Más Vistas > El superhuracán Melissa toca tierra en Jamaica con vientos de hasta 295 km/h
Más VistasPortada

El superhuracán Melissa toca tierra en Jamaica con vientos de hasta 295 km/h

administrador
Last updated: October 28, 2025 6:29 pm
administrador
6 months ago
Share
SHARE

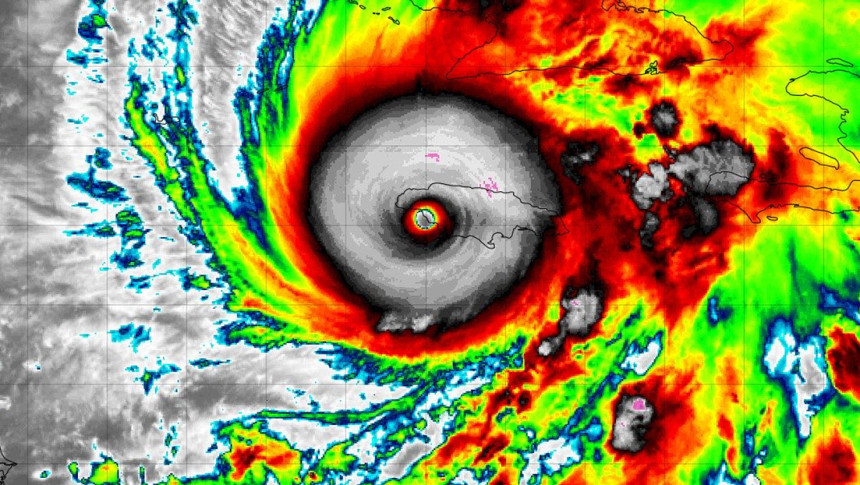
El superhuracán Melissa tocó tierra este martes en el suroeste de Jamaica, cerca de la localidad de New Hope, como un poderoso ciclón de categoría 5, según confirmó el Centro Nacional de Huracanes de EE.UU.

Melissa, considerado uno de los huracanes más poderosos registrados en el Atlántico, entró a tierra firme con vientos extremadamente destructivos de hasta 295 km/h y lluvias torrenciales y ha comenzado a causar daños significativos en las zonas costeras y rurales de la región.

Las autoridades han declarado que la situación generada por la tormenta es “extremadamente peligrosa y potencialmente mortal” y han exhortado a la población a permanecer bajo resguardo, incluso si el ojo del huracán, donde los vientos prácticamente desaparecen, pasa sobre ellos.

“Situación catastrófica”

Melissa se originó en el oeste de África, comenzando como una onda tropical que fue detectada por los monitores el 16 de octubre. Cruzó el Atlántico hacia las Islas de Barlovento y luego se desplazó lentamente hacia el oeste, llegando al mar Caribe.

Según la especialista en ciclones tropicales de la Organización Meteorológica Mundial (OMM), Anne-Claire Fontan, se espera que este huracán desate una “situación catastrófica” en la pequeña nación insular y produzca marejadas ciclónicas de hasta cuatro metros de altura y precipitaciones que superarán los 70 centímetros.

RT

You Might Also Like

Abinader advierte a la Comunidad Internacional: “O luchamos juntos para salvar a Haití o lucharemos solos para proteger a República Dominicana”

Paliza descarta cualquier regreso al debate reeleccionista y asegura que la Constitución ya “cerró la puerta”

Diálogo sobre ley crea DNI prosigue este martes con otros sectores convocados

JCE deja abierto proceso de observación electoral internacional con miras a elecciones municipales

JCE unificará actas del estado civil en un único formato; se eliminan formatos de “extracto” e “inextensa”

Share This Article
Facebook Email Print
Previous Article INDOTEL conecta unidad de Oncología Pediátrica del INCART; niños accederán a internet mientras reciben tratamiento
Next Article EE.UU. intentó reclutar a piloto de Maduro para plan de secuestro, revela AP
Leave a Comment

Leave a Reply Cancel reply

Your email address will not be published. Required fields are marked *

Nuestras Redes

© influencias.do News. 2025. All Rights Reserved.
Welcome Back!

Sign in to your account

Username or Email Address
Password

Lost your password?